

早黑宝葡萄

赵旗峰讲解葡萄管护技术

赵爱玲展示枣树萌发的嫩叶

脆甜多汁的宁粹苹果

细嫩香甜的玉露香梨

聂国伟介绍日光大棚内培育的樱桃品种
编者按
太行毓秀,汾川物丰。作为我省特色优势农业支柱产业,果品种植根植乡土、禀赋独特,承载着群众增收致富的美好期许。多年来,我省果树科研工作者锚定果业提质增效目标,深耕种质改良、技术攻关、种植优化等关键领域,把实验室成果搬进山野田园,以硬核科技激活土地潜能,为特色果品提质培优、拓宽销路筑牢根基。
一枚枚特色林果,承载乡土底蕴;一项项科研成果,铺就致富坦途。本期聚焦我省葡萄、枣、樱桃、苹果、梨五大特色果品,以多元果业发展图景为脉络,深度解码山西农业大学(省农科院)果树研究所深耕田间地头、以科研赋能产业的生动实践,展现一线农技人员以良种为基、以技术为翼,助力山西现代农业提质增效、乡村产业稳步振兴的担当与风采。
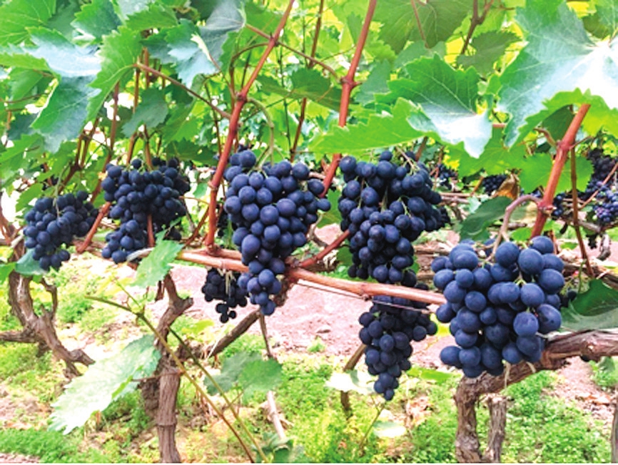
葡藤良种惠万家
春风拂过国家枣葡萄种质资源圃(太谷),藤蔓吐绿、枝梢萌动,一派生机盎然。田间地头,科研管护、种质引进、品种试验等工作紧凑有序推进,勾勒出三晋葡萄产业科创增收的春日图景。
“每个品系编号要逐一核对,种质信息分毫不能差,基础工作做扎实,后续试验才有保障。”4月22日,山西农业大学(省农科院)果树研究所所长、国家葡萄产业技术体系太谷综合试验站站长赵旗峰,与团队成员王敏、黄丽萍一同清点新引种葡萄种苗,俯身细致比对标签、登记信息,语气笃定严谨。随着国家葡萄产业技术体系600多个葡萄品种顺利入驻试验圃,新一轮品种适应性观测与科研试验全面铺开。
作为国字号种质平台,国家枣葡萄种质资源圃(太谷)深耕种质保护50余载,珍藏国内外葡萄种质791份,是我国北方唯一露地埋土防寒综合葡萄资源圃。科研团队持续开展种质精准鉴定,筛选优质特异资源,自主选育的早黑宝葡萄,填补了我国欧亚种早熟玫瑰香型四倍体葡萄空白,凭借优良品质与错峰上市优势,成为三晋果业富民优质品种。
“这几日,清徐设施栽培的早黑宝正值果实膨大、逐步转色的关键阶段,咱们再去看看。”临近中午,赵旗峰和团队成员便来到清徐县绿源生态科技有限公司葡萄种植基地。此前农户已完成疏果整穗,当下浇水追肥、田间管理尤为关键。赵旗峰和同事穿梭田间,查看树势长势,讲解水肥管理、病虫害绿色防控、果穗管护等技术,实地解答种植难题。
“引进早黑宝后,我们采取设施+露地双模式栽培,每亩收益比传统品种提高3倍。”绿源公司董事长丁拖保算起增收账:设施栽培每亩年收入5万元—6万元,露地栽培每亩年收入2万元。
暮色渐近,赵旗峰团队匆匆返程,即刻投入萌芽状态观测、嫩梢性状记录、影像资料拍摄留存工作中。“每隔一段时间都要做观察记录。这是后续葡萄资源研究的可靠数据与影像支撑,容不得半点差错。”赵旗峰眼中透着科研人的坚定,诠释着农业科研工作者的责任与担当。
记者手记:
行走在春日葡园,随处可见种质保护的坚守与品种创新的力量。一方种质资源圃,珍藏万千葡萄品种,科研人扎根田间、默默坚守,守护种业根基,潜心品种创新。一颗早黑宝,凝聚数十年育种心血,打破技术瓶颈,拓宽增收路径。从培育优质良种到下沉田间答疑解惑,从守护珍稀种质到助力产业升级,赵旗峰团队以藤蔓为卷、以实干作答,助农增收。小小葡萄藤蔓间,结出的是科研创新硕果,承载着乡村振兴的希望。
枣种迭代增效益
“赵专家说了,临冬2号高接,长势比较弱的砧木要用两步法……”4月26日,运城市临猗县庙上乡南贯底村,临猗现代设施鲜枣数智产业园内,技术员隋建国正忙着嫁接枣树。他身后,去年引进的鲜枣早熟品种早脆蜜、迎秋红等枝干上,刚萌发的新叶嫩绿鲜亮,在春风中摇曳出盎然生机。
隋建国说的“赵专家”名叫赵爱玲,是山西农业大学(省农科院)果树研究所研究员、国家现代农业产业技术体系枣种质资源鉴定与新种质创制岗位科学家。
去年,山西农大(省农科院)在临猗县实施产业引领工程项目“临猗设施鲜枣新品种及栽培技术集成示范”,通过引进不同成熟期的优质鲜枣新品种,集成应用更新复壮、改接换优等提质增效关键栽培技术,破解临猗设施鲜枣成熟期集中、果实品质下降等难题,为当地鲜枣产业高质量发展赋能。
作为项目主持人,赵爱玲带领团队在临猗落实项目实施地点、制定技术方案、推进示范果园建设。在临猗县庙上乡核心示范基地,项目组完成老弱枣树更新复壮40亩、密植建园树形培养10亩、水肥一体化减肥增效10亩、高接换优10亩,建成品种示范园40亩,辐射带动面积超300亩。
优化良种布局,激活产业动能。“山西是我国传统的红枣栽培优势产区。在鲜食枣种植领域,临猗既是全国重点主产区和典型代表产区,也是行业发展的引领标杆。目前,品种单一老化是临猗设施鲜枣产业发展的主要瓶颈。”赵爱玲说,项目引进早脆蜜、迎秋红等6个鲜枣新品种,优化当地鲜枣品种结构,同步在示范基地开展多种节本增效的标准化栽培管理技术应用,包括精准施肥、病虫害综合防控等。
在枣树生长关键节点,赵爱玲和团队成员一直在临猗田间地头为果农提供精细化技术指导。
赵爱玲介绍,经过一整年品种优化与技术示范,基地实现节水30%、节肥30%、省工30%“三节约”目标;示范基地临冬2号、龙蟠冬枣等新品种亩产超1250公斤,果实品质显著提升,兼具酥脆口感与丰富风味;果实售价较同园区常规管理地块提高40%以上,为普通冬枣的2—3倍。
记者手记:
临猗县被誉为“中国枣业十强县”“中国鲜枣之乡”“全国最大的优质鲜食枣示范基地”。但随着产业发展,当地设施鲜食枣产业出现品种单一老化、种植结构不合理、生产成本上涨、经济效益下滑等问题。引进熟期配套的优质新品种,集成应用提质降本增效关键栽培技术,对推动当地鲜食枣产业高质量发展意义重大。
樱桃映红致富路
樱桃果实营养丰富,色、形、味俱佳,素有“春果第一枝”的美誉。
4月16日,记者走进山西农业大学(省农科院)果树研究所樱桃示范园,掀开日光温室大棚的防风帘,清甜果香扑面而来。层层叠叠的翠绿枝叶间,一颗颗红宝石般的樱桃缀满枝头,散发着诱人光泽。“这里主要栽培红玛瑙、万尼卡、萨米特等品种。”该所研究员、樱桃种质资源与育种团队负责人聂国伟介绍。
“红玛瑙平均单果重8—9克,突出特点是抗寒抗旱;万尼卡从亚美尼亚引进,属晚熟品种,果实中大;萨米特甜樱桃成熟后呈深红色,平均单果重10—12克,最大可达14克,早果性、丰产性好。”大棚内,聂国伟热情介绍团队的科研成果。
近年来,我省樱桃种植业呈快速发展态势。截至2025年,全省樱桃种植面积约13万亩,樱桃树是我省经济效益最高的树种之一。在绛县、临猗县等地,樱桃种植已迅速发展成为当地主导产业。“我刚从这两个地方出差回来。”近期,聂国伟正带领团队在省内各地开展春季田间管理技术指导,向果农讲解樱桃园土肥水管理、病虫害绿色防控、花期霜冻预防等关键技术,并结合生产实际解答各类问题。
在大棚内穿行,可见几排樱桃树苗造型独特:它们没有直接栽于土壤,而是整齐栽植在半米高的黑色塑胶桶中。“这是我们定植的幼苗。”聂国伟解释,采用这种定植方式,再辅以“前促后控”技术措施,可有效促进日光温室大棚樱桃早期丰产。
经过多年研究,聂国伟团队已牵头制定3项山西省地方标准,分别为《红玛瑙樱桃栽培技术规程》《大棚甜樱桃栽培技术规程》《日光温室甜樱桃栽培技术规程》。
沿着田间土路,来到露天栽培园区。这里的樱桃树刚刚开花,树形多样,有纺锤形、KGB形、UFO形……“设施栽培与露天栽培相结合,可让鲜食樱桃市场供应期从1月持续到7月中旬。”聂国伟表示,希望樱桃产业真正成为富民强村的大产业。
记者手记:
樱桃好吃树难栽。我省樱桃产业蓬勃发展,科技支撑作用至关重要。近年来,山西农业大学(省农科院)果树研究所相关团队在樱桃科学栽植、整形修剪、病虫害绿色防控、科学施肥等方面持续攻关,并积极开展技术推广,让广大果农切实受益。当前,推动樱桃全产业链发展、加强品牌宣传势在必行。既要依靠科研人员不断选育新品种、研发新技术,也需要政府加大支持力度,强化采后处理与品牌建设,助力产业提质增效。
根扎黄土果更甜
4月下旬的大宁,早晚微凉,正午气温稳定在20℃以上。这样的天气里,塬上的苹果花开得一天比一天繁盛。对宁粹苹果专业合作社联合社理事长马旭平来说,眼下正是苹果授粉坐果黄金期——花不等人,这几天的管理直接决定一年收成。
马旭平是大宁第一批规模化种植“宁粹”苹果的种植户,自家果园面积达60亩。“宁粹”由山西农业大学(省农科院)果树研究所利用自育矮化砧木嫁接“秦脆”培育而成,果实早熟半个月,抢先上市效益更佳;果面色泽更红,果肉脆甜多汁,口感出众。种植“宁粹”苹果,亩纯收入可达1.5万元以上,相当于过去老品种两三亩的收入。
果子优质,根基为先。“宁粹”所用砧木,是从武乡海棠、晋西北山定子等本土野生资源中选育的优良品种,抗寒抗旱能力突出。马旭平指着果园说:“咱这砧木不用支架,根系扎得稳,耐寒性强,仅建园成本就能省下一大笔。”
跟随马旭平走进果园,一行行果树整齐排列,株距1.5米、行距4米。马旭平介绍,这样的密度最为适宜,“密了不透风,稀了浪费土地。”树形采用纺锤形,主干上螺旋排布三四十个结果枝组,树高控制在3.5米左右,修剪、采摘操作便捷省力。
交谈间,马旭平踩了踩脚下的土垄,地面黑膜覆盖严实,膜边铺设着滴灌带。果园顺着塬面地势修建了蓄水池,“收集雨水,通过滴灌精准输送至根部。”马旭平介绍,“垄上覆膜保墒,行间自然生草,旱能蓄水、涝不沤根。栽植方式也从以往春栽改为秋栽,入冬前给苗木套膜防护,越冬安全,成活率达九成以上。”
土地依旧是这片土地,种植技术革新带来果实品质飞跃。这场苹果产业变革的核心支撑,来自山西农业大学(省农科院)果树研究所。自20世纪70年代起,几代科研人员扎根山区,从本土野生资源中选育、杂交、试验,让黄土高原果园用上了自主培育的优良砧木。
截至目前,团队砧木新品种成果转化直接收入50万元,在山西、河北、新疆、甘肃、云南等地推广应用171.5万亩,培训辐射果农15万人次,近5年新增经济效益89.6亿元。
记者手记:
花开正盛。照料果树的人最懂“花不等人”的深意。时令的重量,镌刻在广袤田间,草木感知,农人深知。疏花、定果、套袋,环环相扣,每一步都不容懈怠。从春栽改秋栽,从引进砧木到本土选育,果园的每一处改变,都是土地给出的答案,更是科技赋能农业的生动印记。
香梨质优创品牌
“用光叶苕子双接菌替代油菜作生物肥,利用其产草量大的优势疏松土壤、增加有机质,同时调节果园温度、湿度,营造适宜梨树生长的小气候;依托野生杜梨抗寒耐瘠薄的特性作为砧木嫁接其他品种,既能提高梨树成活率,又能助力梨产业提质增效。”4月16日,在山西农业大学(省农科院)果树研究所示范基地,梨种质资源与育种团队负责人杨盛研究员详细介绍团队的特色种植技术。
2010年,杨盛研究生毕业后,怀揣助力家乡梨产业发展的初心,加入梨团队,从基层科研人员做起,一步步成长为团队负责人。
“团队现有成员9人,形成老中青合理梯队,既有深耕领域数十年的老专家,也有充满活力的青年学者,科研后劲充足。”杨盛介绍,自2008年加入国家梨产业技术体系以来,团队聚焦梨产业痛点难点,集成先进种植与育种技术,在临汾、忻州、运城等地建立示范基地,常态化开展技术培训与防灾指导,为当地梨产业高质量发展提供坚实技术支撑。
数十载深耕不辍,一代代科研人接力前行。截至目前,梨团队已累计收集、保存、鉴定梨种质资源214份,为品种选育奠定坚实基础;选配杂交组合140多个,培育杂交单系1.3万余份。经过反复试验、筛选,该团队成功育成晋酥梨、晋蜜梨、硕丰梨、玉露香梨、玉酥梨、晋早酥、晋早玉等7个具有我省地域特色的优良品种。其中,玉露香梨的成功选育意义重大,它完美融合母本库尔勒香梨的香甜与父本雪花梨的个大优势,成功填补我国中熟耐藏梨品种空白,2014年被确定为全国水果产业发展主导品种,成为我省梨产业的“金字招牌”。
科研的最终目的是惠及民生。为让玉露香梨优质丰产栽培技术早日走进田间地头,造福广大梨农,团队打破传统培训模式,将课堂搬到果园里、地头间,手把手教学、面对面指导,累计举办技术培训700多场,覆盖梨农数万人次。如今,玉露香梨累计推广种植面积已达100万亩,其中省内50万亩、省外50万亩,亩均种植效益达万元以上,是普通梨品种的3倍以上,让众多梨农实现“种梨致富”的心愿。
记者手记:
采访梨种质资源与育种团队,最让人动容的是他们代代相传的科研坚守。六十载深耕,他们把论文写在枝头,用种质资源筑牢育种根基,以玉露香梨擦亮山西农业名片。从实验室到田间地头,团队手把手将技术送到农户手中,让三晋梨园结出致富果。这不仅是科研的接力,更是科技兴农、造福乡梓的不变初心。(文图:张丽媛 高桦 郭慧聪 张丽 崔如意)